Service Guide

Get Ants Extermination Service

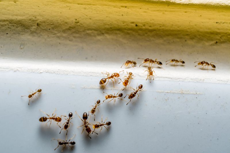
Local contractors offer ant extermination services to eliminate infestations, protect properties, and handle residential or commercial pest control projects effectively.

Ants can quickly become a persistent nuisance for property owners, especially when they invade homes or commercial spaces. If you're noticing signs of an ant problem, exploring professional extermination services can be a practical step toward regaining control. Local contractors specializing in ant extermination have the experience and tools to address these issues effectively, helping to protect your property and maintain a comfortable environment.

Planning a pest control project involves comparing options among trusted service providers in the area. By exploring local ant extermination services, property owners can find solutions tailored to their specific needs. Keep reading to learn more about how local contractors can assist in managing ant infestations and ensuring your property remains pest-free.

Get Ants Extermination Service Quotes

  • Ants Extermination - needed when ants invade kitchens or pantry areas.
  • Ants Prevention - sought after when establishing a barrier to keep ants out of the home.
  • Ants Inspection - useful for identifying ant infestation sources inside or around the property.
  • Ants Treatment - required to eliminate large ant colonies causing property damage or nuisance.
  • Ants Barrier Services - used to create a protective perimeter preventing future ant invasions.
Ants Extermination Service
Ants Extermination Service
Ants Extermination Service

Ants extermination services involve professional treatments designed to eliminate ant colonies and prevent future invasions. These services typically include thorough inspections to identify the source of the ant problem, followed by targeted applications of insecticides or baiting systems. Service providers may also advise on ways to reduce attractants around the property, such as food debris or standing water, to help keep ants from returning. The goal is to create a barrier that stops ants from entering living or working spaces and to eradicate existing nests effectively.

This type of service helps solve common pest issues caused by different ant species, including sugar ants, carpenter ants, and fire ants. Ant infestations can lead to various problems, such as property damage-particularly from carpenter ants that burrow into wood-and hygiene concerns due to the presence of ants in kitchens and food storage areas. In some cases, ants can also trigger allergic reactions or create an unsightly nuisance, making it uncomfortable to enjoy outdoor spaces or maintain a clean indoor environment. Professional extermination ensures these issues are addressed safely and efficiently.

Ants extermination services are frequently used in residential properties like single-family homes, apartments, and condominiums. Commercial properties such as restaurants, grocery stores, and office buildings also often require these services to maintain sanitation and protect inventory. Additionally, property managers and landlords may seek pest control solutions to keep their tenants satisfied and prevent the spread of infestations across multiple units. Whether the problem is small or widespread, local contractors can tailor their approach to fit the specific needs of each property type.

Homeowners are most likely to need ants extermination services when noticing signs of an invasion, such as visible trails, ants in the kitchen or bathroom, or damage to wood structures. These services are also useful as a preventative measure if there are known ant activity nearby or if previous infestations have occurred. By working with experienced service providers, property owners can effectively manage ant problems early on, reducing the risk of larger infestations and property damage. Contacting local pest control specialists can help determine the best course of action for maintaining a pest-free environment.

The overview below groups typical Ants Extermination Service projects into broad ranges so you can see how smaller, mid-sized, and larger jobs often compare in your area.

In many markets, a large share of routine jobs stays in the lower and middle ranges, while only a smaller percentage of projects moves into the highest bands when the work is more complex or site conditions are harder than average.

Smaller Repairs - Typical costs for routine ant extermination jobs range from $250 to $600. Many common projects fall within this middle range, covering standard treatments in homes and small properties. Fewer projects reach into the higher end of this band unless additional services are needed.

Moderate Infestation Removal - Larger infestations or more extensive treatments usually cost between $600 and $1,200. Local contractors often see many projects in this range, which may include multiple visits or targeted baiting systems. Prices can vary based on the size of the affected area.

Full Property Treatment - Complete property extermination services can range from $1,200 to $3,000 for comprehensive coverage. These larger projects are less common but necessary for severe or widespread ant problems across extensive properties.

Long-Term Prevention Plans - Ongoing prevention or quarterly service plans typically cost between $300 and $700 per year. Many homeowners opt for these to maintain control, with costs depending on property size and treatment frequency. Larger or more complex properties may see higher prices.

Actual totals will depend on details like access to the work area, the scope of the project, and the materials selected, so use these as general starting points rather than exact figures.

Get a Quote

Pest Control for Food Storage Areas - Local contractors experienced in pest control can apply techniques to eliminate ants and prevent infestations in commercial and residential food storage spaces.

Structural Pest Management - Professionals skilled in identifying and treating pest entry points can help protect buildings from ant invasions through structural repairs and treatments.

Wildlife and Insect Exclusion Projects - Exclusion specialists can install barriers and seal entry points to prevent ants and other pests from accessing properties.

Sanitation and Hygiene Enhancement - Service providers can advise on sanitation improvements that reduce attractants for ants and other pests around properties.

Moisture Control and Drainage Projects - Experts in moisture management can address conditions that create favorable environments for ants to thrive near structures.

Landscaping and Yard Maintenance - Landscaping professionals can modify yard conditions to reduce ant habitats and minimize pest attraction around properties.

Ants Extermination Service

When comparing service providers for ant extermination, it’s important to consider their experience with similar projects. Homeowners should look for local contractors who have a proven track record in handling ant infestations comparable to their situation. An experienced professional will understand the common challenges and effective solutions, which can contribute to a more efficient and thorough treatment process. Gathering information about the types of ant problems a contractor has successfully managed can help ensure that they are well-equipped to address specific concerns.

Clear written expectations are essential when evaluating local pros for ant extermination services. Homeowners should seek providers who can offer detailed descriptions of their approach, including what the treatment will involve, the areas that will be affected, and any necessary follow-up steps. This transparency helps prevent misunderstandings and sets realistic expectations for the scope of work. A reputable service provider will be willing to communicate these details openly, ensuring that homeowners have a clear understanding of what to anticipate from the service.

Reputable references and good communication are key factors in selecting a reliable contractor. Homeowners can ask for references from previous clients who have had similar ant issues, providing insight into the provider’s professionalism and effectiveness. Additionally, a service provider’s responsiveness and willingness to answer questions can indicate their level of customer care and commitment to quality service. While the site introduces homeowners to local options, it’s important to remember that the actual work will be handled by trusted local contractors who can demonstrate experience, clarity in their service offerings, and effective communication to meet homeowners’ needs.

Get an Ants Extermination Service Quote

Property owners use Ants Extermination Service services for practical projects around their homes and businesses. This guide focuses on everyday jobs and straightforward project options.

Ants Extermination Service
Ants Extermination Service

Ants can become a common nuisance in residential and commercial properties, often appearing in kitchens, pantries, or around entry points. Property owners might seek ant extermination services when they notice persistent ant trails, nests, or an increase in ant activity that disrupts daily routines. Local contractors specializing in pest control can assess the situation, identify the source of the infestation, and implement targeted treatments to help restore comfort and cleanliness to the space.

In many cases, ant problems arise due to food spills, moisture issues, or easy access points that invite these pests indoors. Homeowners and business owners may look for professional ant extermination to prevent further invasions and protect their property. Service providers in the area can offer solutions tailored to the specific challenges of the property, helping to eliminate existing ants and reduce the likelihood of future outbreaks.

Get an Ants Extermination Service Quote

How can I identify an ant infestation in my home? Signs of an ant infestation include visible trails, scattered crumbs, and the presence of ants near food sources or entry points.

What types of ants do extermination services typically target? Local service providers can handle a variety of ants, including carpenter ants, odorous house ants, and pavement ants.

Are there specific areas in my home that are more prone to ant activity? Ants often gather around kitchens, bathrooms, and areas with moisture or food debris.

What methods do local contractors use to eliminate ant infestations? They may use baiting, trapping, and targeted treatments to effectively remove ants from the property.

How can I prevent future ant problems after extermination? Keeping food sealed, maintaining cleanliness, and sealing entry points can help reduce the likelihood of future infestations.

Ants Prevention Tips - Learn how to identify common entry points around the property and implement simple barriers to reduce ant intrusion.

Ants Inspection Services - Schedule an inspection to pinpoint ant nests and high-traffic areas that need targeted treatment.

Ants Treatment Solutions - Discover treatment options that local contractors use to effectively eliminate ant colonies in residential or commercial spaces.

Ongoing Ants Management - Explore maintenance strategies to keep ants from returning after initial extermination efforts.

Ants Extermination Service

If you are thinking about Ants Extermination Service for a property, this guide is meant to help you understand the work, the typical project types, and how different options might fit your plans.

When you are ready, you can use the quote form on this page to share a few details about your project. From there, local pros can review the basics and respond with options that match what you have in mind.

Get a Quote

Ants Extermination Quotes

Our Trusted Partners
Pestgo Exterminators
Bulwark Exterminating
Orkin